2025最強「風王」梅麗莎 史上第3強颶風 強度超越「樺加沙」 恐怖風眼衛星圖曝光

2025最強「風王」梅麗莎 史上第3強颶風 強度超越「樺加沙」  恐怖風眼衛星圖曝光

颶風梅麗莎以5級強度橫掃加勒比海,超越9月風王「樺加沙」成為本年最強風暴,及成為史上第三強颶風,牙買加遭遇174年來最強風暴。梅麗莎以時速近300公里風速登陸牙買加,造成嚴重水災、超過50萬戶停電及重大破壞,並導致7人死亡。熱帶風暴途徑包括海地、多明尼加及古巴,當地政府緊急撤離數十萬人。美軍氣象偵察機拍攝罕見風眼壯觀畫面。

2025年「風王」梅麗莎氣象資料

  • 成為今年全球最強颶風,最高風速逼近300公里,達5級颶風。
  • 美國氣象部門評定其1分鐘平均的中心風力升至295km/h(10分鐘平均270km/h),成為2025年最強風暴。
  • 氣壓亦跌至892百帕,為北大西洋有紀錄以來第3低。
  • 在加勒比海區打轉多日後,10月28日凌晨登陸牙買加南部。
  • 打破牙買加174年來最強風暴紀錄,陸續影響海地、多明尼加、古巴。
  • 登陸牙買加時為5級,登陸古巴時降至3級。

梅麗莎吹襲牙買加

  • 導致嚴重水災,部分地區降雨量高達70公分至1公尺。
  • 超過50萬戶停電,主要道路及建築嚴重損毀。
  • 逾150萬人受災,約占全國53%人口。
  • 當局動用3300萬美元緊急預算及保險信貸支援。
  • 2.8萬居民低窪區被迫撤離,約1.5萬人選擇留守避難中心。

專家分析「梅麗莎」破壞力

英國專家

  • 英國氣候科學家布里米柯:梅麗莎快速增強,吸收高海面能量,釋放強風與豪雨。專家指出其動力學特徵與普通颶風不同,更具破壞力。

牙買加專家

  • 當地氣象學家及牙買加總理稱基礎設施難以抵擋5級颶風,災情嚴重令人擔憂。

美國氣象機構

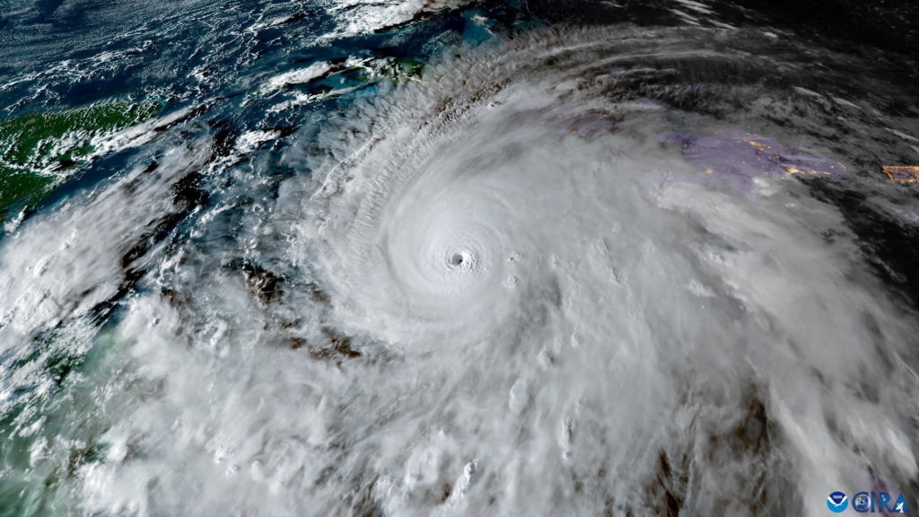
  • 美國空軍氣象偵察中隊拍攝颶風風眼,展現罕見「體育場效應」風眼形態。
  • 颶風風眼內部結構清晰,強度及動力明顯高於一般颶風。

香港天文台

  • 衞星拍攝顯示梅麗莎風眼渾圓清晰,中心雲團對稱厚實包圍,證實其發展成熟且威力強大。
  • 風暴外圍絲狀卷雲顯示高空環境有利颶風維持強度甚至增強。

【延伸閱讀】

颱風病|日本熱話「氣象病」 打風落雨即感頭痛肩痛 日本專家揭成因與氣壓有關 中年女性高危! 9招紓緩

超級颱風樺加沙襲港 山泥傾瀉/冧樹/水浸/道路阻塞/停水停電/爆玻璃點算?政府部門緊急求助電話

香港打風|下周雙颱風逼近本港 5大天氣AI預測懶人包 11月初有機再掛八號風球